Kiefergelenksarthrose
Die 17-jährige Stute „Tessa“ (Name geändert) vorberichtlich über mehrere Wochen einen Leistungsabfall beim Reiten und eine Verschlechterung des Fressverhaltens. Sie fing an, einseitig zu kauen und beim Reiten war keine vorwärts-abwärts Haltung mehr möglich. Wir stellten darüber hinaus eine sichtbare/tastbare knöcherne Zubildung am linken Kiefergelenk fest. Die Stute zeigte starkte Schmerzhaftigkeit beim Abtasten des linken Kiefergelenks.
Der Verdacht liegt auf einer Kiefergelenksarthrose.
Symptome einer Kiefergelenksarthrose:
- verändertes Fressverhalten, längere Fresszeiten, Schmerzen/einseitiges Kauen
- Kopfschiefhaltung
- Schmerzen bei Berührungen am Kiefergelenk
- Probleme beim Reiten
- Leistungsabfall
- sichtbare Zubildung
Ursachen einer Kiefergelenksarthrose:
- altersbedingter Knorpelverschleiß
- Überlastung/Fehlbelastung
- Traumata
- sekundär nach Entzündung/Infektion
- Zahnprobleme/ungleichmäßiger Kaudruck
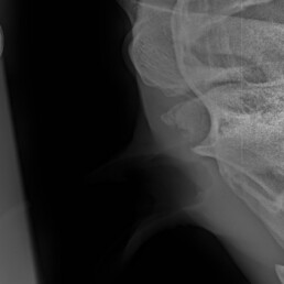
Weiterführende Untersuchungen: Röntgen
- makroskopische Umfangsvermehrung am linken Kiefergelenk
- röntgenologische Untersuchung beider Kiefergelenke zum Seitenvergleich
- beidseitige Befunde
Weiterführende Untersuchungen: Endoskopie
- endoskopische Untersuchung der Harnröhre sowie Harnblase
- Abziehen des gesamten Harns zur besseren Beurteilung der Harnblasenschleimhaut, etc.
- Harn ist deutlich viskös und dunkelgelb/bräunlich verfärbt
- deutliche Sedimentablagerungen in Blase und im abgenommenem Harn erkennbar
- an mehreren Stellen Rötung der Schleimhaut erkennbar
Diagnose: beidseitige Kiefergelenksarthrose
Therapie:
- Gabe von Schmerz- und Entzündungshemmern
- Zahnbehandlung zur gleichmäßgen Druckverteilung
- weitesgehend Ruhe während der akuten Phase
- unterstützende, schmerzlindernde und entzündungshemmende Therapie mit dem Equitron
Verlauf:
- weiterhin stärkere Belastung der rechten Seite beim Fressen
- ansonsten deutliche Besserung der Schmerzhaftigkeit und des Fressverhaltens
- langfristig dauerhafte Gabe eines leichten Schmerzmittels
- weiterhin regelmäßige, unterstützende Behandlung mit Equitron
- deutliche Besserung der Leistungsfähigkeit beim Reiten
- Dehnungsverhalten im Schritt wieder möglich
Neben einer manuellen Therapie führen wir regelmäßige Zahnbehandlungen und Verlaufskontrollen durch.
Das Ziel ist eine langfristige Schmerzreduktion, der Erhalt der Beweglichkeit und die Vorbeugung weiterer Problematiken.
Fotogalerie














