Pferdemedizin Dr. Michutta & Team
Erkrankungen der Haut
In der Humanmedizin wird häufig von Patienten angegeben, dass Juckreiz schlimmer ist als Schmerzen.
Leider leiden immer mehr Pferde unter Juckreiz und Hautveränderungen, die die Lebensqualität dieser Tiere schwerwiegend beeinflussen. Neben Milben- und Pilzinfektionen, immunologischen Erkrankungen, Hautveränderungen durch Lebererkrankungen, Hauttumore, Parasitenbefall, Hautveränderungen infolge von Ovarialtumoren oder der Aufnahme von Giftpflanzen, spielen allergische Erkrankungen als Auslöser immer häufiger die Hauptrolle.

Diagnostik
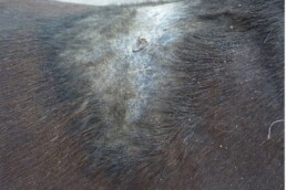
Leidet Ihr Pferd unter kahlen oder krustigen Stellen, Juckreiz oder einer anderen Hauterkrankung ist in den seltensten Fällen eine Diagnosestellung allein durch die klinische Untersuchung möglich. Hautproben z.B. Hautgeschabsel, Biopsieproben oder Abklatschproben bringen uns da der Diagnose schon näher. Auch spezifischen Laboruntersuchungen, eine eingehende Beurteilung der Weide, der Haltungsbedingungen und der Futtermittel helfen manchmal dabei die Ursache zu enttarnen. Jedoch kann es teilweise ein mühsamer Weg für Pferd, Halter und Tierarzt sein, einen Auslöser festzustellen.

Equine atopische Dermatitis - Neurodermitis beim Pferd?
Ein Beispiel für eine dieser problematischen Hauterkrankungen ist die Equine atopische Dermatitis. Infolge von Mehrfachallergien gegen Umwelt- und Insektenallergene, sowie eine beeinträchtigte Hautbarriere mit kontinuierlichem Flüssigkeitsverlust entstehen stark juckende Hautaffektionen häufig im Bereich des Kopfes. Anhand dieser Erkrankung und der Auslöser wird schon deutlicher, wie kompliziert eine erfolgsversprechende Therapie von Hauterkrankungen sein kann. In diesen Fällen ist häufig lediglich eine Linderung der Symptomatik als realistisches Ziel anzusehen. Neben einer möglichst schnellen Stillung des Juckreizes und der Bekämpfung bzw. Vermeidung des Auslösers, sollte aber auch am Aufbau und der Unterstützung der Hautbarriere und der Modulation des Immunsystems gearbeitet werden. Hierfür müssen jedoch das Haltungs- und Fütterungsmanagement, wie auch spezifische medikamentöse Behandlungen ineinandergreifen.
Eine enge Zusammenarbeit und Kommunikation zwischen Ihnen als Pferdehalter und mir als Tierarzt ist hier für einen bestmöglichen Therapieerfolg essenziell. Gerne möchte ich mich hierfür als Ihr Weggefährte anbieten und Ihnen sowohl bei allergischen als auch bei tumorösen, immunologischen, infektiösen oder anderen Hauterkrankungen mit neusten wissenschaftlichen Behandlungskonzepten zu Seite stehen.
Für weitere Fragen steht Frau Dr. Michutta Ihnen gerne telefonisch oder per Email zur Verfügung.









